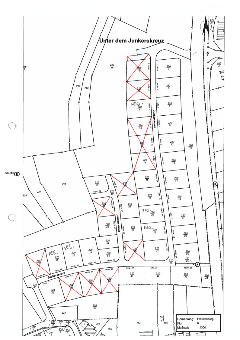
Der Baugrundstücksplan Junkerskreuz wurde aktualisiert und kann hier eingesehen werden
Neue Infos zum Glasfaserausbau
Am 24.03.25 fand erneut ein Gespräch über den Glasfaserausbau in unserer Gemeinde statt. Dabei wurde vereinbart, dass am kommenden Montag, 31.03.2025 die Arbelten wieder aufgenommen werden.
Begonnen wird mit dem Erneuern der fehlerhaft aufgebrachten Asphaltflächen im Baugebiet „Burgbungert“, der Read more
Überprüfung von Gemeindebrücken
In den nächsten Wochen werden folgende Brückenbauwerke überprüft werden:• Brücke über den Leukbach (Herrenmühle)
- Brücke über den Leukbach (In der Dörrwies)
- Bogenbrücke über den Freudenburger Bach
- Natursteinbogenbrücke über den Mühlengraben (Kollesleuken)
- Ewigbachtalbrücke (Kollesleuken). Es kann zu kurzeitigen Sperrungen der Brücken kommen.
Die Einsegnung der Trauerhalle
Am kommenden Sonntag, 16.3.2025 wird Pfarrer Struwe im Anschluss an das Hochamt (10:30 Uhr) die Einsegnung der neuen Trauerhalle vornehmen. Alle Bürgerinnen und Buerger sind eingeladen an der Veranstaltung teilzunehmen und sich das Gebäude und das neugestaltete Kirchenumfeld anzusehen. Read more
Vorbereitung auf die Erstkommunion 2025
Nach den Herbstferien wird die Vorbereitung für die Erstkommunion 2025 beginnen. Über die beiden Grundschulen Serrig und Freudenburg wurden eine Einladung zum Elternabend und ein Anmeldeformular verteilt. Kinder, die auf andere Schulen gehen, werden dadurch nicht erreicht. Eltern, deren Read more
Widmung
der „Clemens-Bauer-Straße“ in der Ortsgemeinde Freudenburg für den öffentlichen Straßenverkehr
Die im Baugebiet „Lungenacker“ liegende „Clemens-Bauer-Straße“, gelegen auf den Grundstücken Gemarkung Freudenburg, Flur 13, 102/9, und Flur 14, 38/5, 40/16 sowie 40/6 (mit 0,40 qm) wurde erstmalig hergestellt. Die Read more
Bekanntmachung
der 8. Satzung zur Änderung der Hauptsatzung der Ortsgemeinde Freudenburg vom 29.08.2024
Der Ortsgemeinderat Freudenburg hat aufgrund der §§ 24, 25der Gemeindeordnung (GemO) und des § 2 der Landesverordnung über die Aufwandsentschädigung kommunaler Ehrenämter(KomAEVO) in seiner Sitzung am 27.08.2024 Read more


